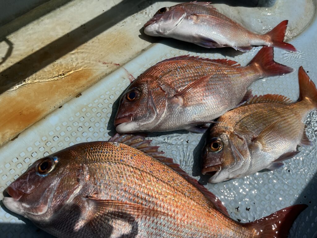
一瞬ジアイらしき時間帯ありましたねぇ。一気に釣りましょう😊 少人数様精鋭便。 なぜか竿頭様の釣果分だけ撮り忘れました。 ⬆️嬉しい外道は50㌢弱😊 ★1 乗船ありがとう。m(_ _)m 釣果 information 15(水)原点回帰レキンコスタ2026🦐vo l、11 この記事を書いた人 船長 西村 関連記事 🟡🔴🔵🟠🟣近日予定&お知らせ🟡🟠🟤🟢🟣 2026年5月29日 28(木)🦐朝便 2026年5月29日 27(水)🦐《朝便》 2026年5月28日 26(火)イサキアジ《昼便》 2026年5月27日 25(月)🦐《朝便》 2026年5月26日 22(金)🦐《昼便》 2026年5月23日 21(木)🦐VOL.46 2026年5月21日 20(水)朝便イサキ🐠、昼便🦐VOL.45 2026年5月21日