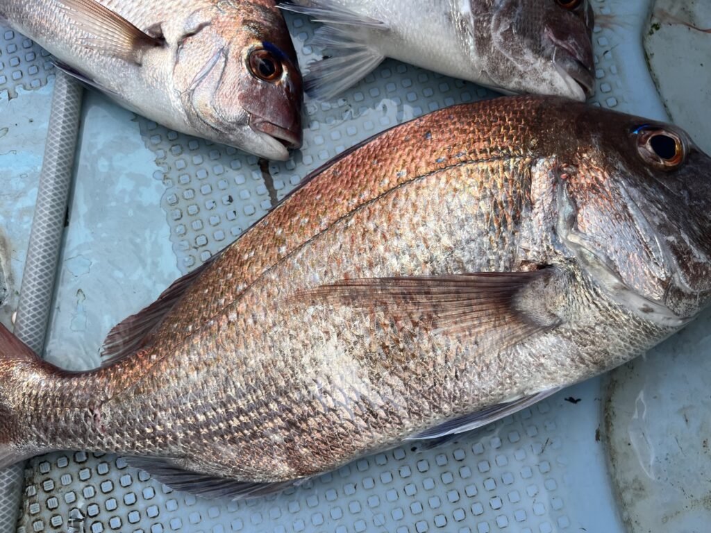
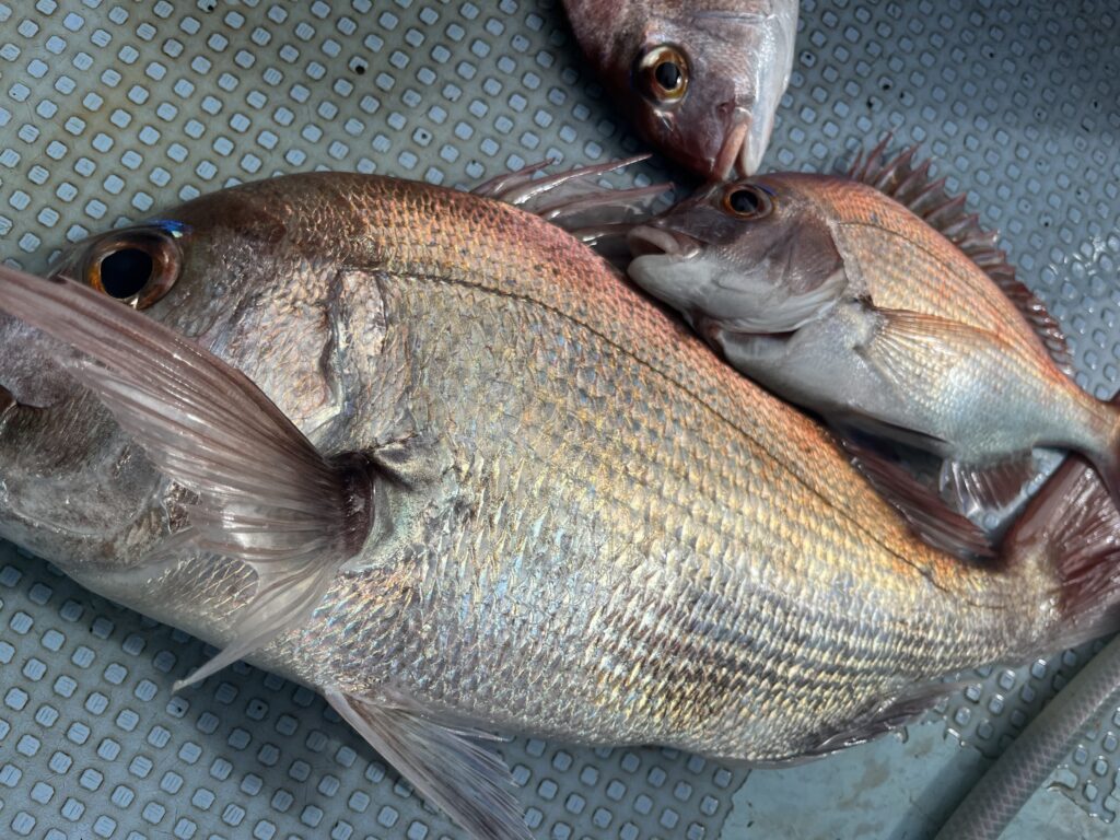
⬆️こちらの、達人も、絶対的に釣る❗️😊 ⬇️上井名人も、良型連発でしたね😊 ★1(画像は一部です) 朝便、昼便ごちゃ混ぜ画像です😊 今日も乗船ありがとう👋😊 釣果 7(火)うたせ🦐37《昼便》 10(金)朝便⚔️、昼便🦐40 この記事を書いた人 船長 西村 関連記事 🟡🔴🔵🟠🟣近日予定&お知らせ🟡🟠🟤🟢🟣 2026年4月17日 16(木)原点回帰2026🦐vol、12 2026年4月16日 15(水)原点回帰レキンコスタ2026🦐vo l、11 2026年4月15日 14(火)先祖返り2026🦐vo l 、10 2026年4月15日 information 2026年4月14日 13(月)スルメヤリイカ🦑狙い 2026年4月13日 11(土).12(日)乗っ込み狙い🦐 2026年4月12日 9(木)朝昼便🦐vol.4.5 2026年4月9日